Επιστημονική ονομασία Salix triandra L.
Ταξινόμηση Κλάση Magnoliopsida, Τάξη Malpighiales, Οικογένεια Salicaceae
Κοινές ονομασίες ιτιά αμυγδαλόφυλλη, αμυγδαλοϊτιά, almond willow (Αγγλικά)
Συνώνυμα Salix amygdalina L.
Περιγραφή
Φυλλοβόλο μόνοικο μικρό δέντρο ή θάμνος (βιοτική μορφή P, φανερόφυτο), που φτάνει σε ύψος τα 10 μ.
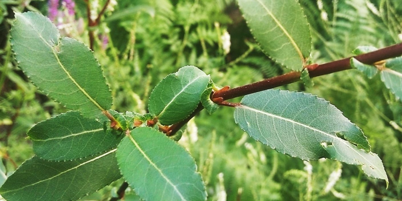
Τα φύλλα είναι κατ’εναλλαγή, μήκους 2,5-10 εκ., με μίσχο έως 2,5 εκ. και έλασμα επίμηκες, ελλειψοειδές ή λογχοειδές, με παρυφές λεπτά πριονωτές. Η επάνω επιφάνεια του φύλλου είναι γυαλιστερή και βαθυπράσινη, ενώ η κάτω επιφάνεια του φύλλου είναι γλαυκοπράσινη. Τα παράφυλλα είναι νεφροειδή και δεν είναι εύπτωτα.
Άνθη σε ίουλους που φύονται τον Μάρτιο-Απρίλιο. Καρπός κάψα.

Salix triandra
Εξάπλωση – Προστασία
Το είδος έχει ευρεία εξάπλωση σε όλη την Ευρώπη και την Ασία (χωρολογία: ΕS, Ευρω-σιβηρικό). Στην Ελλάδα, το είδος είναι σχετικά σπάνιο και εμφανίζεται κατά μήκος ρεμάτων, σε όχθες λιμνών κλπ. στη βόρεια ηπειρωτική χώρα.
Συνήθως το είδος εμφανίζεται στον τύπο οικοτόπου της Οδηγίας 92/43/ΕΟΚ «Δάση στοές με Salix alba και Populus alba» με κωδικό 92Α0.
Εξάπλωση της Salix triandra στην Ευρώπη και στη Μεσόγειο
Άρθρα – Πληροφορίες
Αθανασιάδης ΗΡ. Ν. 1986. Δασική Βοτανική Μέρος ΙΙ. Δέντρα και Θάμνοι των Δασών της Ελλάδος. Θεσσαλονίκη. Εκδ. Γιαχούδη-Γιαπούλη.
Αραμπατζής Θ. 1998. Θάμνοι και Δέντρα στην Ελλάδα. Οικολογική Κίνηση Δράμας
Dimopoulos P., Raus T., Bergmeier E., Constantinidis T., Iatrou G., Kokkini S., Strid A. & Tzanoudakis D. 2013. Vascular Plants of Greece. An annotated checklist. Botanic Garden and Botanical Museum Berlin-Dahlem & Hellenic Botanical Society, Berlin & Athens.
Κοράκης Γ. 2015. Δασική Βοτανική – Αυτοφυή Δέντρα και Θάμνοι της Ελλάδας. Ελληνικά Ακαδημαϊκά Ηλεκτρονικά Συγγράμματα και Βοηθήματα. 620 σελ.
Strid, A. & Tan, K. (eds.) 1997. Flora Hellenica vol. 1. Patra.
Tutin, T. G., Burges, N.A. Chater, A.O. Edmonson, J.R. Heywood, V.H., Moore, D.M. Valentine, D.H. Walters, S.M. & Webb, D.A. (eds) 1993. Flora Europaea I. 2nd edition. Cambridge.
Euro+Med (2006-): Euro+Med PlantBase – the information resource for Euro-Mediterranean plant diversity. Published on the Internet http://ww2.bgbm.org/EuroPlusMed/ [Ανάκτηση 20/8/2015].
Κείμενα
Ηλίας Αποστόλου, Δασοπόνος




